IFB26-06: French Street Reconstruction 

  1. 1 IFB 26-06 French Street Reconstruction (Upcoming ) - color rendering_Page_1
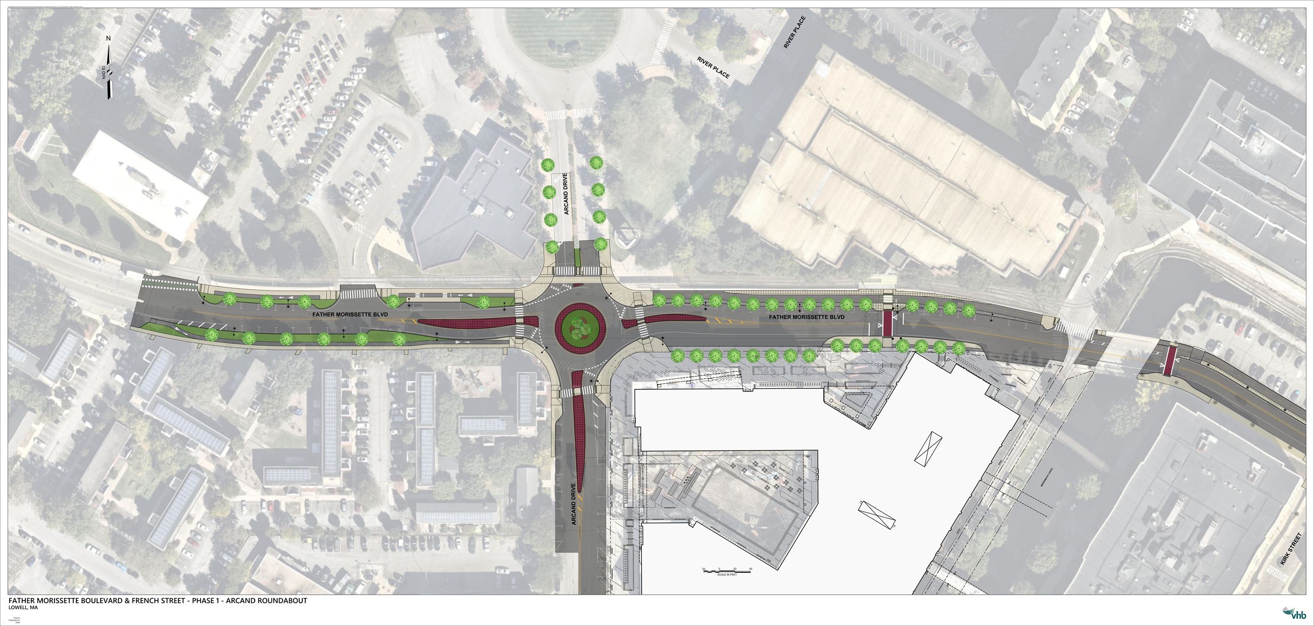
  2. 2 IFB 26-06 French Street Reconstruction (Upcoming ) - color rendering_Page_2

Project Description: 


Reconstruction of French Street in Lowell, including full-depth roadway reconstruction, installation of a new roundabout, granite curbing, sidewalk improvements, upgraded drainage infrastructure, and accessibility enhancements. The project aims to improve traffic flow, enhance pedestrian safety, and bring the corridor into compliance with ADA standards.

Traffic impacts will be minimized as much as possible. Lane closures or detours may be required during certain phases of the work, and advance notice will be provided. 

Thank you for your patience and support as we complete these necessary roadway improvements. 

Contractor: Newport construction 


Design Consultant: Vanasse Hangen Brustlin, Inc. (VHB)

 

Notice to Proceed: 10/22/2025


Estimated Cost: $7,821,009.42


City Contact: Engineering Office 

            Phone: 978-674-4070 

                        Email: Engineers@lowellma.gov

Scope of Work:


  • Reconstruction of portions of Father Morissette Boulevard, Arcand Drive, and the full length of French Street, including full-depth pavement replacement, micro-milling, and overlay.

  • Streetscaping, landscaping, and installation of new drainage and underground utilities.
  • Construction of cement concrete sidewalks, hot-mix asphalt shared-use paths, and median improvements.
  • Traffic signal upgrades at French Street and Bridge Street, and a new pedestrian signal near Lowell High School.
  • Roundabout reconstruction at the intersection of Father Morissette Boulevard and Arcand Drive.

Status Updates/Schedule: 




Proposed Plans & Renderings: 

French Street